All the latest...


  • 2023-12-15 19:33:11

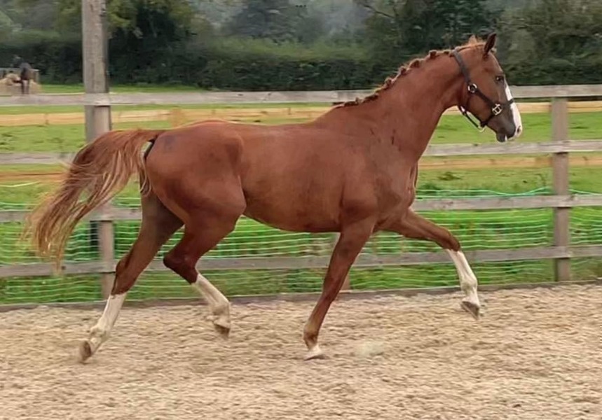
    Mark my words , this is a horse you be hearing from one day ! 📺 Wild as a 🦅 totally uneducated and just about leadable 🤣but she has the raw ingredients to one day be at the very top in every single sport !!! I adore this one !!
    Grand slam vdl(cardento x heartbreaker)x fuego ...

    ...See more

    Like


  • 2023-12-08 17:15:31

    PRICED TO SELL 👍👍👍👍👍👍👍 Love this big doofus 😂❤️ Billy king(baloubet ) x tolano van’t reithof(chin chin) x caretano(2020)gelding A very exciting prospect for sport . 16.3hh /17hh approx rising 4 year old gelding Fabulous mover,real look at me swag ! He’s a born jumper,absolutely loves it left to his own devices he would just go around all day ! He’s bold scopey and really enjoys it! In the stable he’s in your face friendly and a real time waster!!! Can’t believe he hasn’t been snapped up he’s awesome ❤️❤️❤️
    Billy king(baloubet ) x tolano van’t reithof(ch...

    ...See more

    Like


  • 2023-12-02 13:05:42

    🚀 Enhancing your experience with us 💕
    BSH launches Progressive Web App

    ...See more

    Like


  • 2023-12-02 10:19:53

    This guy has the lot, the full package 📦 Carerra vdl(cardento x baloubet)x hor la loi x polydox(2020)gelding A super young horse to produce for next years young horse classes and beyond . to make 16.1hh approx 3yo gelding
    Carerra vdl(cardento x baloubet)x hor la loi x ...

    ...See more

    Like


  • 2023-11-24 19:33:43

    There's a new guy on the block... 😍
    'Nadim Il Faut's' New Chapter with The Breen Team

    ...See more

    Like


  • 2023-11-23 20:15:27

    DRESSAGE ANYONE 🤔❤️❤️❤️❤️ Hermes(easy game) x Franklin(ampere)x Bretton woods(2020)mare An epic dressage or event prospect . 16.1-16.2hh approx 3yo mare .
    Hermes(easy game) x Franklin(ampere)x Bretton w...

    ...See more

    Like


  • 2023-11-20 17:39:58

    An absolute top class dressage or event prospect with all the bling 💍 Total us(totilas)x salieri(silvano)x lagano(2020)gelding This guy represents the best of both worlds for a future in dressage or eventing .. 16.1hh approx 3yo gelding .
    Total us(totilas)x salieri(silvano)x lagano(202...

    ...See more

    Like


  • 2023-10-29 22:58:06

    🥳🏆🥇. We are over the moon that @mikewinter9 & El Mundo were able to help with this result ! ❤
    El Mundo - another BSH graduate at the top of t...

    ...See more

    Like


  • 2023-10-25 22:54:35

    Now who doesn’t love a bit of bling 💍 ✨ This guy has it in spades and a whole lot of quality too!!! Nicolai(tangelo van de zuthoeuve x cantos)x Berlin x silvio(2021)gelding A real flashy sort straight off the farm . hard to come by like him!
    Nicolai(tangelo van de zuthoeuve x cantos)x Ber...

    ...See more

    Like


  • 2023-10-18 17:20:05

    n spite of the hideous weather ☔️ this mares quality shines through … The ultimate ladies or young riders horse for next year … She moves like elastic , jumps the same way and is easy on the eye … What more could you want ?!
    Ludovicious(Edinburgh x balou du rouet)x Lord z...

    ...See more

    Like