All the latest...
-
2021-02-24 10:07:51
Presenting our first ever LIVE AUCTION!!The bidding will be live on Friday 5th March at 7:30PM (GMT)We are super excited to showcase two stunning hand picked mares...Auction 14 Year Old Mare (2017)Il est Balou (Balou du Rouet) x Furore (Ahorn) x GershwinShe is a super type ready to break and prod...LIVE AUCTIONS - Coming on the 5th of March
...See more
Like
-
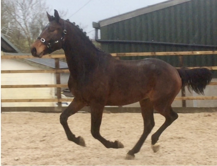
2021-01-31 10:39:22
**SOLD**The ultimate ladies dressage or event future star!16hh 4yo mare.... she is currently being broken, this is a mare we are very excited about.SPIELBERG Spielberg is a dressage stallion to dream of. His conformation is almost ideal and he is a true ‘Strahlemann’. Thanks to his great movement...Speilberg x ampere x triton (2017) mare
...See more
Like
-
2021-01-19 09:58:12
**SOLD**To make 16.2hh approx 3.5yo mare. a super big scopey type who is full of blood and quality and is straight from the farm.sire decantos is a young son of Dallas and looks to have an exciting future in sport .this girls damline is super ,her dams brother “ludi” (lancer) Jumps to 160cm level...Decantos (Dallas x cantos) x cornet oblensky x ...
...See more
Like
-
2021-01-19 09:53:15
**SOLD**Now this is a filly we are excited about.bred from one of our foundation mares her dam is “ster “ graded and produced a couple of very good performers. She has a son “peak performance “ by azteka at 140cm level.this fillies sire Grandorado now needs no introduction, he is just stepping up...Grandorado x padinus (heartbreaker) x ramiro(20...
...See more
Like
-
2021-01-19 09:46:04
**SOLD**To make 16.hh approx this is a really sporty 2yo...his sire Harley vdl had exemplary show results with Jessica Kuerten. At the KWPN stallion licensing in 's-Hertogenbosch he won the VHO Trophy, and at the same show he won the 1.35m Stallion Championship. He has also won international clas...Harley vdl (heartbreaker) x lux z triton (2018)...
...See more
Like
-
2021-01-19 09:38:48
**SOLD**16.1hh approx rising 4yo mare. This is one with a very big future ahead we are sure !Pilothago is an Westphalian ‘Prämie’ stallion and the last approved son of the legendary sire Pilot. Both as a sire and a dam’s sire or grandsire Pilot’s value in breeding is still of great importance. In...Pilothago x verdi x Lord z (2017)mare
...See more
Like
-
2021-01-19 09:31:50
**SOLD**This is a class prospect.....to make 16.2hh 2.5yo gelding...this is a proper jumper....his sire ublesco jumped to 160cm level with a variety of riders including in the uk with John Whittaker.His father Darco needs no introduction...his damline is incredible combining goodtimes and gentlem...Ublesco (Darco) z Sydney(goodtimes) x gentleman...
...See more
Like
-
2021-01-12 12:05:44
**SOLD**This is an exciting young horse!!!to make 16.2H approx this 3yo gelding is a true sport prospect . Andiamo Semilly, placed in 1,60m GP CSI5* he combines the scope, very good canter and great willingness of his famous sire, Diamant de Semilly. With the carefulness, nice style and elegance ...Andiamo semilly (diamant) x haarlem (Voltaire )...
...See more
Like
-
2021-01-12 12:03:45
**SOLD**To make 16.2hh approx 2.5yo geldingPowerhouse Eldorado van de Zeshoek meets all the expectations in both sport and breeding. Ridden by Willem Greve, the son of Clinton is currently among the best combinations in The Netherlands, making several Nations Cup appearances. In breeding, Eldorad...Eldorado van de zeshoek x mermus x germus(2018)...
...See more
Like
-
2021-01-12 11:57:57
**SOLD**To make 16.3hh approx 3yo gelding .His sire George is proof that coincidence does not exist! He unites the proven genes of Vittorio with the top-performing Amelusiena-line. The big, attractive George jumps with exceptional ability, scope and reflexes and has fantastic riding qualities. A...George(vittorio) x Namelus r x vegas (2017)gelding
...See more
Like